近年、医療の発展と共に高齢化が進み、家猫たちの寿命も伸びつつあります。
18歳でも走ったりジャンプできている猫もいれば、14歳でよろけながら歩いている猫など身体の状態は猫によって様々です。
でも、長生きするなら健康な身体で過ごしたいものですよね!
.
年齢を重ねるとそれなりに身体的能力の衰えを感じたり、病気が出てくると思います。
その一つに『変形性関節症』という関節疾患があります。
ヒトと同様、年齢に関連した疾患と考えられており、高齢になればなるほど罹患率は増加していきます。
なんと‼️12歳以上の猫の90%が変形性関節症を患っていると言われています😳
しかし、厄介なことに関節に異常があっても症状が認められないこともあります。
.
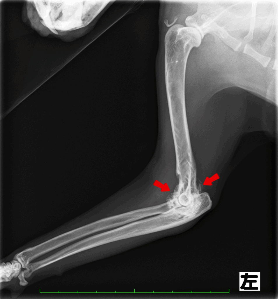
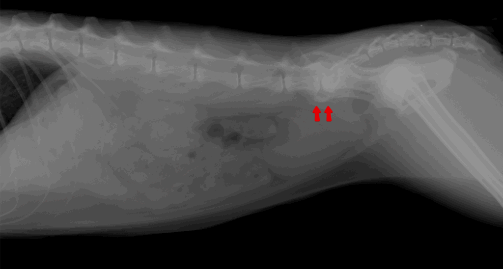
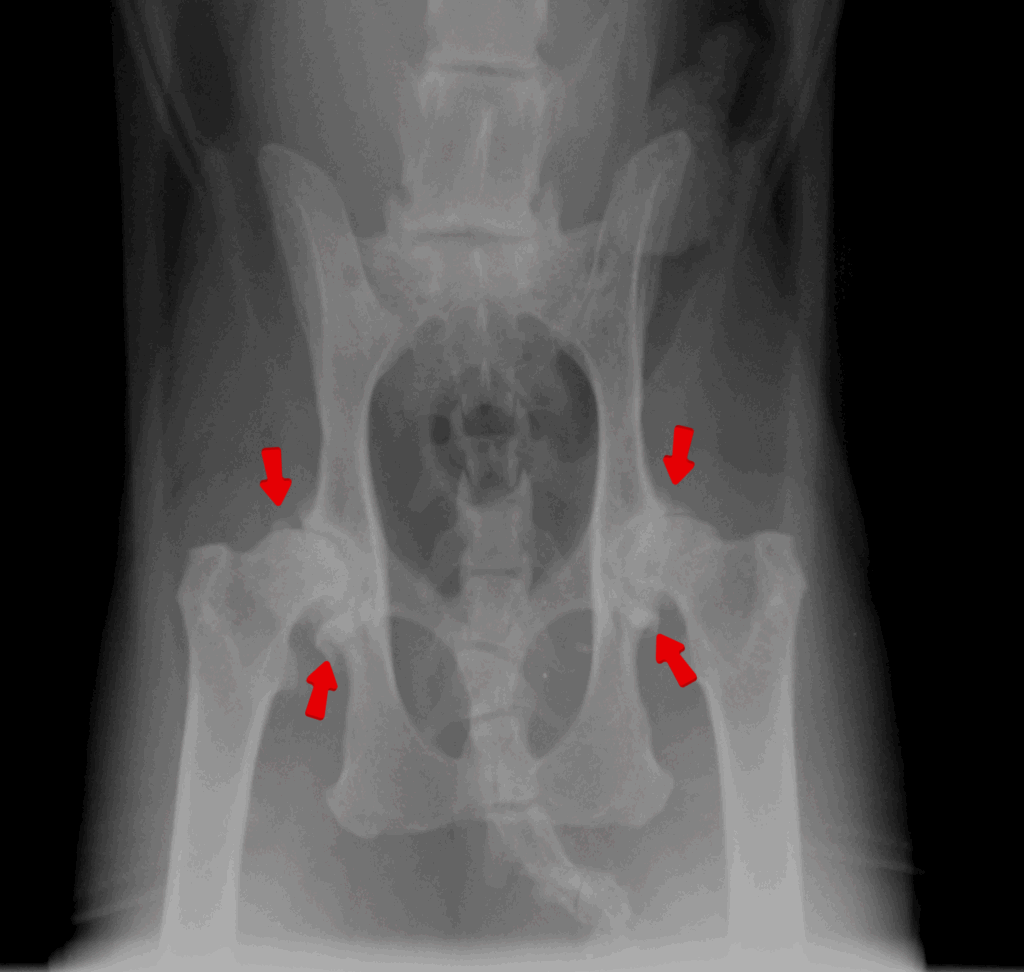
診断するにはレントゲン検査です。
関節にできた骨棘や石灰化病変を確認することで診断していきます。
特に肘関節と股関節の異常が多く認められます。
他にも膝や手首、足首の関節、背骨などにも変形は出ることがあるので、場所を特定するには身体検査も重要になってきます。
.




.
知らず知らずのうちに関節の痛みで悩んでいる猫がいるかもしれません。
歳のせいかな…と思うような事も、その裏に痛みが隠れているかもしれないので、少し意識して猫の行動を観察してみましょう☝️
次回は猫の痛みサインについてお話しします😊

